Bydd y Gorchymyn hwn yn cau priffyrdd er mwyn caniatáu gwaith datblygu arnynt yn unol a chaniatâd cynllunio a roddir gan yr awdurdod yr Awdurdod Lleol.
Dogfennau
Gorchymyn Cau Priffyrdd (Tir wrth Eglwys Fethodistaidd Wrecsam, Stryt y Rhaglaw, Wrecsam) 2012 (2012 Rhif 34) , math o ffeil: PDF, maint ffeil: 89 KB
PDF
89 KB
Os oes angen fersiwn fwy hygyrch o’r ddogfen hon arnoch, e-bostiwch digidol@llyw.cymru. Dywedwch wrthym pa fformat sydd ei angen. Os ydych yn defnyddio technoleg gynorthwyol, nodwch fanylion.
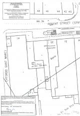
Gorchymyn Cau Priffyrdd (Tir wrth Eglwys Fethodistaidd Wrecsam, Stryt y Rhaglaw, Wrecsam) 2012 (2012 Rhif 34) - cynllun , math o ffeil: PDF, maint ffeil: 681 KB
PDF
681 KB
Os oes angen fersiwn fwy hygyrch o’r ddogfen hon arnoch, e-bostiwch digidol@llyw.cymru. Dywedwch wrthym pa fformat sydd ei angen. Os ydych yn defnyddio technoleg gynorthwyol, nodwch fanylion.
Manylion
Bydd y datblygiad hwn yn gwneud gwelliannau i fynedfa Eglwys Fethodistaidd Wrecsam drwy drosorchuddio darn o'r grisiau a'r tŵr mynediad sy'n bodoli eisoes ac amgáu rhan sydd o dan hanner-landin y grisiau.
